JAVNI POZIV MINISTARSTVA

Država 'za siću' iznajmljuje vilu Regenhart, bivše odmaralište Jugobanke. Evo što se još nudi

22.11.2019 u 23:02

Bionic
Reading

Ministarstvo državne imovine objavilo je javni poziv za podnošenje ponuda za zakup četiri nekretnine, uključujući zgrade u Poreču i Rovinju, zapuštenu vilu Regenhart u Dubrovniku (bivše odmaralište Jugobanke) i zemljište u Trpinji. Ugovor o zakupu sklapa se na rok od 30 godina, a ponude se mogu podnijeti do 17. prosinca u 10 sati. Ponudu možete razgledati u nastavku

1. Zgrada u Rovinju, Driovier 13

Nekretnina se nalazi unutar kulturno - povijesne cjeline grada Rovinja, koja je zaštićeno kulturno dobro s oznakom Z-4811.upisano u Registar kulturnih dobara RH.

Površina je 140 m2, početna cijena godišnjeg zakupa 2.800 kuna, djelatnost ugostiteljsko-turistička, energetski certifikat C/. Nekretnina se, uz prethodnu najavu, može razgledati 5. prosinca od 10 do 11 sati.

Rovinj
  • Zgrada u Rovinju
  • Zgrada u Rovinju
  • Zgrada u Rovinju
  • Zgrada u Rovinju
  • Zgrada u Rovinju
    +3
Zgrada u Rovinju Izvor: Screenshot / Autor: Ministarstvo državne imovine

2. Zgrada u Poreču, Sv. Mauro 22

Nekretnina se nalazi unutar kulturno - povijesne cjeline grada Poreča, koja je zaštićeno kulturno dobro s oznakom Z-2544 upisano u Registar kulturnih dobara RH.

Površina je 518,70 m2, početna cijena godišnjeg zakupa 10.374 kuna, djelatnost ugostiteljsko-turistička, energetski certifikat E/G. Nekretnina se, uz prethodnu najavu, može razgledati 5. prosinca od 13.30 do 14.30 sati.

Zgrada u Poreču
  • Zgrada u Poreču
  • Zgrada u Poreču
  • Zgrada u Poreču
  • Zgrada u Poreču
  • Zgrada u Poreču
    +2
Zgrada u Poreču Izvor: Screenshot / Autor: Ministarstvo državne imovine

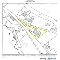
3. Vila Regenhart u Dubrovniku, Vlaha Bukovca 33

Nekretnina pod rednim brojem 4. je zaštićeno kulturno dobro, upisano u Registar kulturnih dobara Republike Hrvatske s oznakom dobra Z-6980 (Profana graditeljska baština).

Površina je 1.943 m2, početna cijena godišnjeg zakupa 38.860 kuna, djelatnost ugostiteljsko-turistička, energetski certifikat G/G. Nekretnina se, uz prethodnu najavu, može razgledati 5. prosinca od 11 do 12 sati.

Vila Regenhart u Dubrovniku
  • Vila Regenhart u Dubrovniku
  • Vila Regenhart u Dubrovniku
  • Vila Regenhart u Dubrovniku
  • Vila Regenhart u Dubrovniku
  • Vila Regenhart u Dubrovniku 1
Vila Regenhart u Dubrovniku Izvor: Screenshot / Autor: Ministarstvo državne imovine

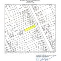
4. Zemljište u Trpinji, Velika ulica 24

Površina je 1.397 m2, početna cijena godišnjeg zakupa 1.397 kuna, djelatnost proizvodna i poslovna. Nekretnina se, uz prethodnu najavu, može razgledati 5. prosinca od 11 do 11.30 sati.

‪Zemljište u Trpinji
  • ‪Zemljište u Trpinji
  • ‪Zemljište u Trpinji
  • ‪Zemljište u Trpinji
  • ‪Zemljište u Trpinji
  • ‪Zemljište u Trpinji
    +2
Zemljište u Trpinji Izvor: Screenshot / Autor: Ministarstvo državne imovine

Detaljnije informacije o javnom pozivu možete pronaći na internetskoj stranici Ministarstva državne imovine.